315 Loris Lions Rd.Loris, SC 29569



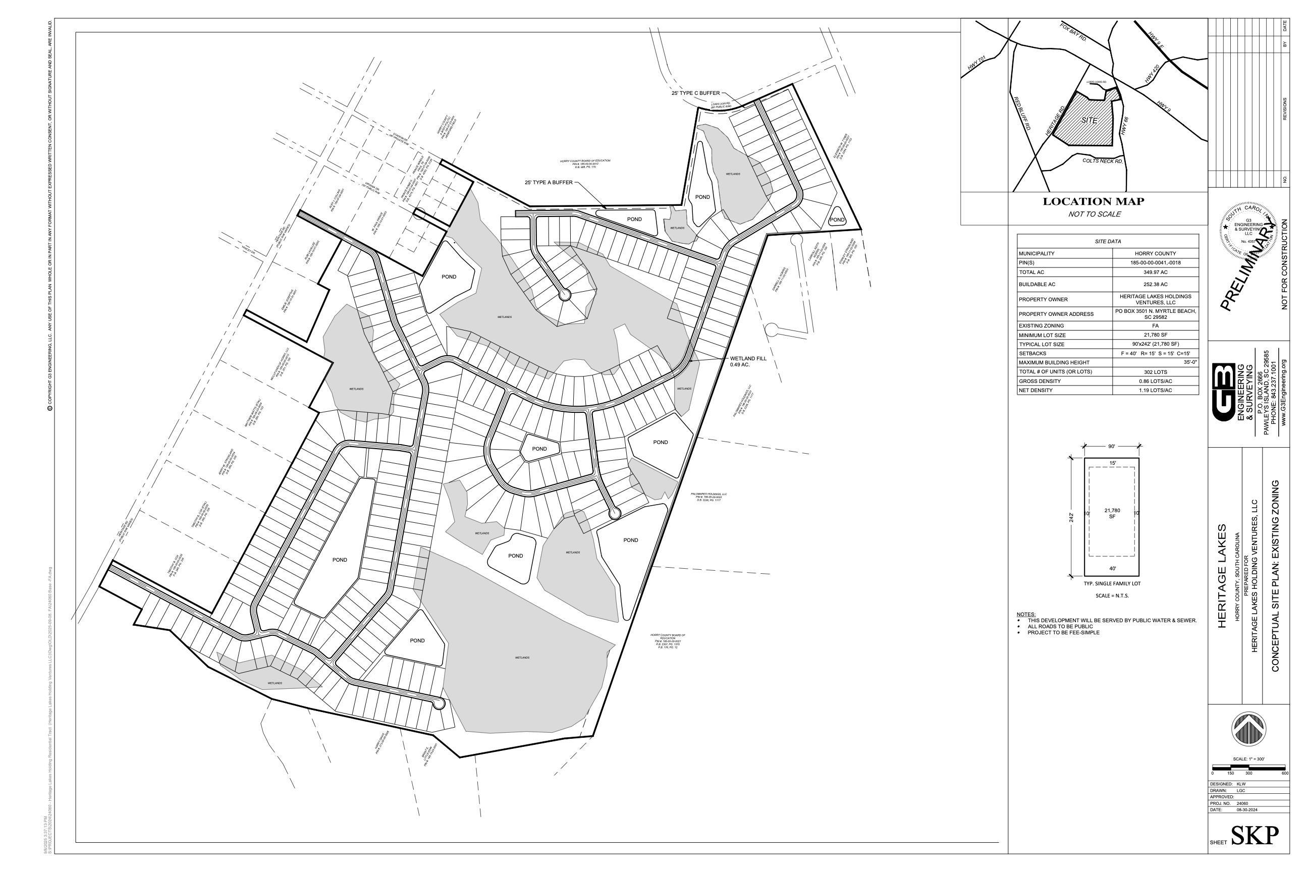
Excellent large-tract residential development opportunity or estate/recreational land for sale in Horry County. ±350 Acres of undeveloped land for sale off Heritage Road in Loris, South Carolina. Property is located adjacent to Loris High School and Loris Middle School between SC-66, Loris Lions Road and Heritage Road. Current Horry County zoning is Forest Agriculture (FA) allowing for the following uses: agriculture, forestry, low-density residential (minimum 1/2 acre lots), limited commercial, social, cultural, recreational, and religious. Owner possesses a conceptual development plan illustrating 302 single-family residential detached lots that is compliant with the current Horry County FA zoning development regulations. Owner recently secured Wetland Delineation Concurrence Letters from the U.S. Army Corps of Engineers for the entire property. The Delineation Concurrence Letters and Mapping illustrate that the property contains approximately 249 Upland Acres. Grand Strand Water & Sewer Authority have water and sewer lines located in close proximity to the Property. The Property contains multiple access points from Heritage Road and Loris Lions Road. Owner can provide the following Property documents: Boundary Survey, ALTA Survey, Conceptual Site Plans, Geotechnical Reports, Water & Sewer Location Maps, and Owners Title Policy. Owner may consider subdividing the Property.
| 3 weeks ago | Listing updated with changes from the MLS® | |
| 4 weeks ago | Listing first seen on site |
Listing information is provided by Participants of the Coastal Carolina Association of Realtors. IDX information is provided exclusively for personal, non-commercial use, and may not be used for any purpose other than to identify prospective properties consumers may be interested in purchasing. Information is deemed reliable but not guaranteed. Copyright 2026, Coastal Carolinas Multiple Listing Service, Inc
Last checked: 2026-02-04 02:39 AM UTC


Did you know? You can invite friends and family to your search. They can join your search, rate and discuss listings with you.