Save
Ask
Tour
Hide
$600,000
188 Days On Site
4925 Highway 554Loris, SC 29569
For Sale|Land|Active
Subdivision:
Not within a Subdivision
County:
Horry
Listing courtesy of Keller Williams Innovate South: 8434557200
Call Now: 843-385-7775
Is this the listing for you? We can help make it yours.
843-385-7775

Save
Ask
Tour
Hide
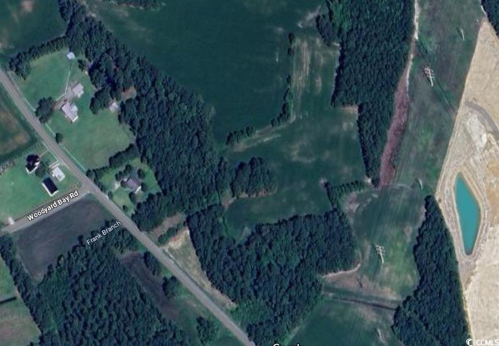
Farmland and wooded areas combine to make this a great potential site for a number of homes on a minimum of 1-acre lots under the present zoning. Power line easement crosses the property on one corner of it.
Save
Ask
Tour
Hide
Listing Snapshot
Price
$600,000
Days On Site
188 Days
Bedrooms
N/A
Inside Area (SqFt)
N/A
Total Baths
N/A
Full Baths
N/A
Partial Baths
N/A
Lot Size
20.6 Acres
Year Built
N/A
MLS® Number
2512539
Status
Active
Property Tax
N/A
HOA/Condo/Coop Fees
N/A
Sq Ft Source
N/A
Friends & Family
Recent Activity
| 2 days ago | Listing updated with changes from the MLS® | |
| 6 months ago | Listing first seen on site |
General Features
Acres
20.6
Zoning
LFA
Save
Ask
Tour
Hide
Community Features
HOA Fee Frequency
Monthly
MLS Area
07A Loris to Longs Area--South of 9 between Loris & Longs
Schools
School District
Unknown
Elementary School
Daisy Elementary School
Middle School
Loris Middle School
High School
Loris High School
Listing courtesy of Keller Williams Innovate South: 8434557200
Listing information is provided by Participants of the Coastal Carolina Association of Realtors. IDX information is provided exclusively for personal, non-commercial use, and may not be used for any purpose other than to identify prospective properties consumers may be interested in purchasing. Information is deemed reliable but not guaranteed. Copyright 2025, Coastal Carolinas Multiple Listing Service, Inc
Last checked: 2025-11-23 09:04 PM UTC
Listing information is provided by Participants of the Coastal Carolina Association of Realtors. IDX information is provided exclusively for personal, non-commercial use, and may not be used for any purpose other than to identify prospective properties consumers may be interested in purchasing. Information is deemed reliable but not guaranteed. Copyright 2025, Coastal Carolinas Multiple Listing Service, Inc
Last checked: 2025-11-23 09:04 PM UTC
Neighborhood & Commute
Source: Walkscore
Save
Ask
Tour
Hide


Did you know? You can invite friends and family to your search. They can join your search, rate and discuss listings with you.