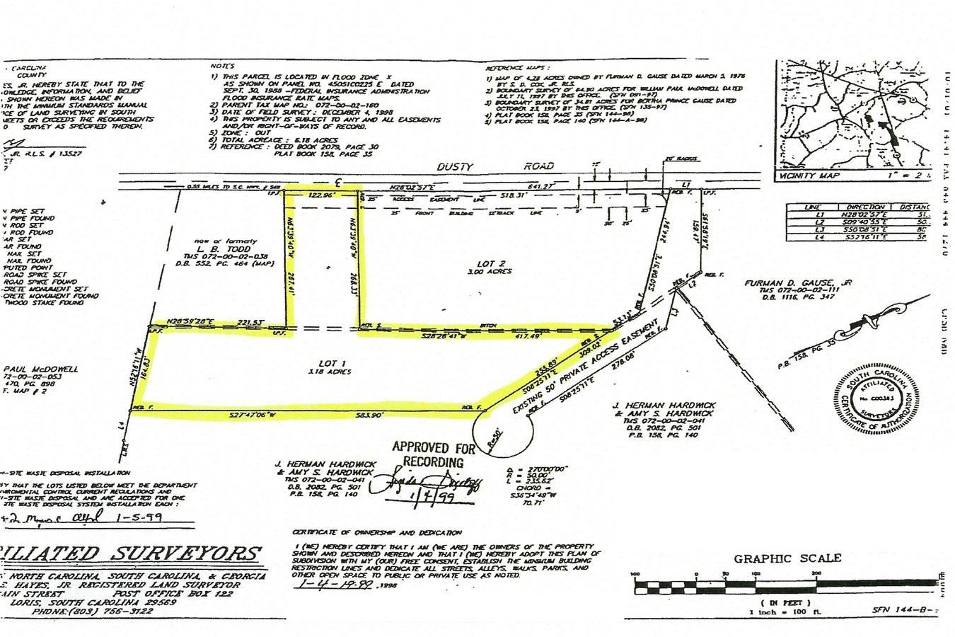
3012 Dusty Rd. Lot 1, NE of Hwy 618Loris, SC 29569




Build your future dream home on this 3.15-acre parcel which is zoned residential. There is an existing 4000 Square Foot Commercial grade building on the property which provides the opportunity to have a home and business at the same location. Steel frame construction on heavy duty concrete slab built in 2002, ideal for use as a warehouse, workshop or storage. The building has a height of 14’ and a dock door (12’ x12’) that big enough to provide interior access for large trucks and construction vehicles. There are two points of access for this property. #1 is the existing path across the grass from Dusty Road, a county maintained paved road, where the “3012” address marker is located. #2 also a 50’ access easement along the neighboring property that also connects with Dusty Road. Deed Restrictions: cannot subdivide, only two single family homes can be built on the property. Manufactured homes are OK, single wide homes not allowed. Horry County MSF 20 Zoning. The property has been cleared with a tree buffer for privacy. There is a pond at the far end of the property. There are areas on the property that will support septic. There is an available water hook-up at Dusty Road. Ultra-high speed fiber optic internet and VoIP for phones is available from Dusty Road. Close to Daisy Elementary School & Red Bluff Road. Just a short drive to Loris, Conway, Highway 22, Highway 9 & Highway 701.
| 4 weeks ago | Listing updated with changes from the MLS® | |
| 4 months ago | Price changed to $435,000 | |
| 12 months ago | Listing first seen on site |
Listing information is provided by Participants of the Coastal Carolina Association of Realtors. IDX information is provided exclusively for personal, non-commercial use, and may not be used for any purpose other than to identify prospective properties consumers may be interested in purchasing. Information is deemed reliable but not guaranteed. Copyright 2026, Coastal Carolinas Multiple Listing Service, Inc
Last checked: 2026-03-21 06:11 PM UTC


Did you know? You can invite friends and family to your search. They can join your search, rate and discuss listings with you.